
Tenth of Ramadan, Egypt
1978-1988
Built
Collaboration between Nezar AlSayyad and the Technology Planning Unit of Cairo University.
Nezar AlSayyad, as a member of the design team for the residential communities of the New Town. Planner for Hay Al-Salam Community project in charge of design of units, infrastructure planning, project management and construction coordination.
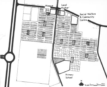
A low-income community designed for new comers to the city—many of whom were transitioning from rural areas. The pilot project built 1160 dwellings to house approximately 5000 people. Funds were only able to provide basic shelter and infrastructure for the residents of the community.
A Core-house, self-help development concept was agreed upon, with the inhabitants given the responsibility to extend their units both horizontally and later vertically. Core house lots ranged from 80-120 square meters with three core types ranging from a utility core to a room with a bathroom and kitchen space. Some foundation to guide expansion was also provided and units designed on a modular grid to allow residents to use the products of a planned prefabrication factory.